29/05/2026 20:34   Sauthier Imóveis, Sapucaia do Sul, RS | Compra, Venda, Aluguel

Código: 8946

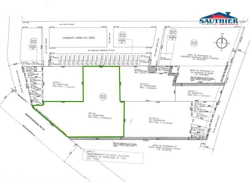
Terreno, Nova Sapucaia - Sapucaia do Sul

22084.68
Área privativa
22084.68
Área total

Descrição

Oportunidade Única de Investimento em Sapucaia do Sul!

Estamos apresentando um terreno excepcional localizado na RS-118, no bairro Nova Sapucaia, em Sapucaia do Sul. Com uma frente de 116,00m² para a rodovia e uma área total de 22.084,68m², este terreno oferece uma oportunidade incrível para desenvolvimento de projetos de diversas naturezas.

Características Principais:

- Localização estratégica na RS-118, com fácil acesso à região metropolitana de Porto Alegre.
- Frente de 116,00m para a rodovia, proporcionando excelente visibilidade e acesso.
- Área total de 22.084,68m², permitindo uma ampla gama de possibilidades de uso.
- Cobertura de mata de acácia negra, com potencial para exploração sustentável.
- Localizado no bairro Nova Sapucaia, em Sapucaia do Sul, região em crescimento e desenvolvimento.

Cobra IPTU R$222,36 mensais.
IMÓVEL PARA VENDA E LOCAÇAO.

Detalhes do Imóvel

Bairro: Nova Sapucaia
Corretor: Pedro - WhatsApp (51) 98142-0553
Aluguel
R$ 25.000,00
IPTU:
R$ 222,36
Total mensal:
R$ 25.222,36
* Valores e disponibilidades dos imóveis sujeitos a alterações, sem aviso prévio.

Imóveis semelhantes

x